Plagas
Bella Rosa
Más Comunes
<span style="font-weight: 700;">Cucaracha Alemana: </span>(Blattella germanica) es una de las plagas más persistentes en interiores, con un ciclo de vida corto y alta tasa reproductiva. - <span style="font-weight: bold;">Fases:</span> huevo, ninfa (6–7 mudas), adulto- <span style="font-weight: bold;">Duración total: </span>50 a 60 días en condiciones ideales. <span style="font-weight: bold;">Edad adulta:</span> desde los 2 meses- <span style="font-weight: bold;">Longevidad del adulto</span>: hasta 7 meses- <span style="font-weight: bold;">Reproducción:</span>Cada hembra produce ootecas con hasta 50 huevos- Puede generar hasta 30000 descendientes por año
Cucaracha Alemana: (Blattella germanica) es una de las plagas más persistentes en interiores, con un ciclo de vida corto y alta tasa reproductiva. - Fases: huevo, ninfa (6–7 mudas), adulto- Duración total: 50 a 60 días en condiciones ideales. Edad adulta: desde los 2 meses- Longevidad del adulto: hasta 7 meses- Reproducción:Cada hembra produce ootecas con hasta 50 huevos- Puede generar hasta 30000 descendientes por año
<span style="font-weight: bold;">Cucaracha Americana: </span> (Periplaneta americana) tiene un ciclo de vida largo y adaptable, alcanzando la adultez en 6 a 12 meses y viviendo hasta 2 años en condiciones favorables.  industriales. -<span style="font-weight: bold;"> Fases:</span> huevo, ninfa, adulto (metamorfosis incompleta). <span style="font-weight: bold;">Duración total: </span>6 a 12 meses para alcanzar la adultez. <span style="font-weight: bold;">Edad adulta: </span>desde los 6 meses, dependiendo de temperatura y alimento. <span style="font-weight: bold;">Longevidad del adulto:</span> hasta 2 años. <span style="font-weight: bold;">Reproducción:</span>- La hembra deposita ootecas con 14–16 huevos cada una- Puede producir hasta 2 ootecas por semana
Cucaracha Americana:  (Periplaneta americana) tiene un ciclo de vida largo y adaptable, alcanzando la adultez en 6 a 12 meses y viviendo hasta 2 años en condiciones favorables.  industriales. - Fases: huevo, ninfa, adulto (metamorfosis incompleta). Duración total: 6 a 12 meses para alcanzar la adultez. Edad adulta: desde los 6 meses, dependiendo de temperatura y alimento. Longevidad del adulto: hasta 2 años. Reproducción:- La hembra deposita ootecas con 14–16 huevos cada una- Puede producir hasta 2 ootecas por semana
<span style="font-weight: bold;">Arañas: </span>La araña doméstica común tiene un ciclo de vida de 1 a 2 años, alcanza la adultez en 2 a 4 semanas y se desarrolla en rincones protegidos del hogar, como techos, esquinas y detrás de muebles.  <span style="font-weight: bold;">Fases:</span> huevo, larva (ninfa), subadulta,  adulta. <span style="font-weight: bold;">Duración total</span>: 2 a 4 semanas para alcanzar la adultez. <span style="font-weight: bold;">Edad adulta</span>: desde la semana 3, dependiendo de temperatura y alimento. <span style="font-weight: bold;">Longevidad</span> del adulto: 1 a 2 años, aunque algunas hembras pueden vivir hasta 3 años
Arañas: La araña doméstica común tiene un ciclo de vida de 1 a 2 años, alcanza la adultez en 2 a 4 semanas y se desarrolla en rincones protegidos del hogar, como techos, esquinas y detrás de muebles.  Fases: huevo, larva (ninfa), subadulta,  adulta. Duración total: 2 a 4 semanas para alcanzar la adultez. Edad adulta: desde la semana 3, dependiendo de temperatura y alimento. Longevidad del adulto: 1 a 2 años, aunque algunas hembras pueden vivir hasta 3 años
<span style="font-weight: bold;">Mosca Doméstica: </span>(Musca domestica) tiene un ciclo de vida rápido, alcanza la adultez en 7 a 10 días y vive entre 15 y 30 días como adulta. <span style="font-weight: bold;">Fases</span>: huevo, larva (gusano), pupa, adulto (metamorfosis completa). <span style="font-weight: bold;">Duración total</span>: 7 a 10 días en condiciones cálidas.   <span style="font-weight: bold;">Edad adulta:</span> desde el día 7. <span style="font-weight: bold;">Longevidad del adulto: </span>15 a 30 días. <span style="font-weight: bold;">Reproducción: </span>Cada hembra pone 75 a 150 huevos por puesta. Puede realizar varias puestas durante su vida 
Mosca Doméstica: (Musca domestica) tiene un ciclo de vida rápido, alcanza la adultez en 7 a 10 días y vive entre 15 y 30 días como adulta. Fases: huevo, larva (gusano), pupa, adulto (metamorfosis completa). Duración total: 7 a 10 días en condiciones cálidas.   Edad adulta: desde el día 7. Longevidad del adulto: 15 a 30 días. Reproducción: Cada hembra pone 75 a 150 huevos por puesta. Puede realizar varias puestas durante su vida 
<span style="font-weight: 700;">Mosquito Aedes: </span>Aedes aegypti tiene un ciclo de vida de 7 a 10 días, alcanza la adultez en menos de una semana y vive aproximadamente 1 mes. Se reproduce en agua estancada y es común desde zonas costeras hasta altitudes de 1300 msnm. <span style="font-weight: bold;">Fases:</span> huevo, larva, pupa. adulto (metamorfosis completa). <span style="font-weight: bold;">Duración total: </span>3 a 10 días, dependiendo de temperatura y humedad <span style="font-weight: bold;">Edad adulta: </span>desde el día 7.  <span style="font-weight: bold;">Longevidad del adulto:</span> ≈ 30 días. <span style="font-weight: bold;">Reproducción:</span>  La hembra pone hasta 100 huevos por ciclo. Los huevos pueden sobrevivir hasta 8 meses en seco. <span style="font-weight: bold;">Vector de enfermedades: </span>dengue, Zika, chikungunya, fiebre amarilla
Mosquito Aedes: Aedes aegypti tiene un ciclo de vida de 7 a 10 días, alcanza la adultez en menos de una semana y vive aproximadamente 1 mes. Se reproduce en agua estancada y es común desde zonas costeras hasta altitudes de 1300 msnm. Fases: huevo, larva, pupa. adulto (metamorfosis completa). Duración total: 3 a 10 días, dependiendo de temperatura y humedad Edad adulta: desde el día 7.  Longevidad del adulto: ≈ 30 días. Reproducción:  La hembra pone hasta 100 huevos por ciclo. Los huevos pueden sobrevivir hasta 8 meses en seco. Vector de enfermedades: dengue, Zika, chikungunya, fiebre amarilla
<span style="font-weight: bold;">Anopheles: </span>Tiene un ciclo de vida de 10 a 14 días, alcanza la adultez en menos de dos semanas y vive entre 2 y 4 semanas como adulto. Se reproduce en aguas limpias y poco profundas, y está presente desde zonas costeras hasta altitudes superiores a 2000 msnm. <span style="font-weight: bold;">Fases:</span> huevo, larva, pupa,  adulto (metamorfosis completa).  <span style="font-weight: bold;">Duración total: </span>10 a 14 días desde huevo hasta adulto. <span style="font-weight: bold;">Edad adulta: </span>desde el día 10. <span style="font-weight: bold;">Longevidad del adulto:</span> 2 a 4 semanas en condiciones naturales. <span style="font-weight: bold;">Reproducción:</span>  La hembra pone 50 a 200 huevos directamente sobre el agua. Los huevos flotan y no toleran la sequedad. <span style="font-weight: bold;">Vector de malaria</span> (paludismo), transmitiendo Plasmodium spp.
Anopheles: Tiene un ciclo de vida de 10 a 14 días, alcanza la adultez en menos de dos semanas y vive entre 2 y 4 semanas como adulto. Se reproduce en aguas limpias y poco profundas, y está presente desde zonas costeras hasta altitudes superiores a 2000 msnm. Fases: huevo, larva, pupa,  adulto (metamorfosis completa).  Duración total: 10 a 14 días desde huevo hasta adulto. Edad adulta: desde el día 10. Longevidad del adulto: 2 a 4 semanas en condiciones naturales. Reproducción:  La hembra pone 50 a 200 huevos directamente sobre el agua. Los huevos flotan y no toleran la sequedad. Vector de malaria (paludismo), transmitiendo Plasmodium spp.
<span style="font-weight: bold;">Culex: </span> Tiene un ciclo de vida de 7 a 15 días, alcanza la adultez en una semana y vive hasta 30 días como adulto. Se reproduce en aguas estancadas, contaminadas o con materia orgánica, y está presente desde zonas costeras hasta altitudes superiores a 2500 msnm. <span style="font-weight: bold;">Fases:</span> huevo, larva,  pupa, adulto (metamorfosis completa). <span style="font-weight: bold;">Duración total: </span>7 a 15 días, dependiendo de temperatura y calidad del agua. <span style="font-weight: bold;">Edad adulta:</span> desde el día 7.  <span style="font-weight: bold;">Longevidad del adulto</span>: ≈ 30 días- <span style="font-weight: bold;">Reproducción:</span>La hembra pone hasta 300 huevos por puesta, en forma de balsas flotantes. Puede realizar varias puestas durante su vida. <span style="font-weight: bold;">Vector de enfermedades:</span> filariasis linfática, encefalitis, virus del Nilo Occidental.
Culex:  Tiene un ciclo de vida de 7 a 15 días, alcanza la adultez en una semana y vive hasta 30 días como adulto. Se reproduce en aguas estancadas, contaminadas o con materia orgánica, y está presente desde zonas costeras hasta altitudes superiores a 2500 msnm. Fases: huevo, larva,  pupa, adulto (metamorfosis completa). Duración total: 7 a 15 días, dependiendo de temperatura y calidad del agua. Edad adulta: desde el día 7.  Longevidad del adulto: ≈ 30 días- Reproducción:La hembra pone hasta 300 huevos por puesta, en forma de balsas flotantes. Puede realizar varias puestas durante su vida. Vector de enfermedades: filariasis linfática, encefalitis, virus del Nilo Occidental.
<span style="font-weight: 700;">Pulgas: </span>Las más comunes son las <span style="font-weight: bold;">de gato</span> (Ctenocephalides felis), <span style="font-weight: bold;">de perro </span>(Ctenocephalides canis) y <span style="font-weight: bold;">de humano</span> (Pulex irritans). <span style="font-weight: bold;">Pulga del gato</span> (Ctenocephalides felis): Es la más común y puede infestar a gatos, perros y otros mamíferos.<span style="font-weight: bold;">Pulga del perro</span> (Ctenocephalides canis): Aunque menos frecuente que la del gato, también parasita a perros y puede afectar a otros animales.<span style="font-weight: bold;">Pulga del humano</span> (Pulex irritans): Se alimenta principalmente de humanos y cerdos, pero su presencia en los hogares modernos es menos común que en el pasado.<span style="font-weight: bold;">Pulga de las aves</span> (Ceratophyllus gallinae): Afecta a las aves y a sus nidos, aunque puede picar a otros animales. <span style="font-weight: bold;">Fases: </span>huevo, larva (3 estadios), pupa, adulto. <span style="font-weight: bold;">Duración total: </span>≈ 15 a 45 días, según temperatura, humedad y disponibilidad de alimento. <span style="font-weight: bold;">Edad adulta:</span> desde el día 15.- <span style="font-weight: bold;">Longevidad del adulto:</span> hasta 2 años en condiciones óptimas.- <span style="font-weight: bold;">Reproducción</span>: La hembra pone 4 a 8 huevos por ingesta de sangre, acumulando 800 a 1.000 huevos en su vida. <span style="font-weight: bold;">Observaciones:</span> El adulto vive sobre el huésped, pero los huevos caen al ambiente.
Pulgas: Las más comunes son las de gato (Ctenocephalides felis), de perro (Ctenocephalides canis) y de humano (Pulex irritans). Pulga del gato (Ctenocephalides felis): Es la más común y puede infestar a gatos, perros y otros mamíferos.Pulga del perro (Ctenocephalides canis): Aunque menos frecuente que la del gato, también parasita a perros y puede afectar a otros animales.Pulga del humano (Pulex irritans): Se alimenta principalmente de humanos y cerdos, pero su presencia en los hogares modernos es menos común que en el pasado.Pulga de las aves (Ceratophyllus gallinae): Afecta a las aves y a sus nidos, aunque puede picar a otros animales. Fases: huevo, larva (3 estadios), pupa, adulto. Duración total: ≈ 15 a 45 días, según temperatura, humedad y disponibilidad de alimento. Edad adulta: desde el día 15.- Longevidad del adulto: hasta 2 años en condiciones óptimas.- Reproducción: La hembra pone 4 a 8 huevos por ingesta de sangre, acumulando 800 a 1.000 huevos en su vida. Observaciones: El adulto vive sobre el huésped, pero los huevos caen al ambiente.
<span style="font-weight: bold;">Garrapatas: </span>Garrapata Común (familias Ixodidae y Argasidae)Parásitos frecuentes en mamíferos domésticos y silvestres, incluyendo humanos. Se alimentan de sangre y pueden transmitir enfermedades.  <span style="font-weight: bold;">Fases:</span> huevo, larva, ninfa, adulto.- <span style="font-weight: bold;">Duración total: </span>≈ 2 semanas a 6 meses, según especie y condiciones ambientales.  <span style="font-weight: bold;">Edad adulta: </span>desde la tercera muda (post-ninfa). <span style="font-weight: bold;">Longevidad del adulto: </span>hasta 2 años sin alimentarse, en especies resistentes. <span style="font-weight: bold;">Reproducción</span>:- Garrapatas duras (Ixodidae): postura única de 5.000 a 8.000 huevos, luego la hembra muere.  Garrapatas blandas (Argasidae): 3 a 5 posturas durante la vida, cada una con 6.000 a 8.000 huevos. <span style="font-weight: bold;">Observaciones:</span> Las larvas y ninfas requieren al menos una toma de sangre para mudar.- Algunas especies completan su ciclo en un solo huésped, otras en dos o tres.
Garrapatas: Garrapata Común (familias Ixodidae y Argasidae)Parásitos frecuentes en mamíferos domésticos y silvestres, incluyendo humanos. Se alimentan de sangre y pueden transmitir enfermedades.  Fases: huevo, larva, ninfa, adulto.- Duración total: ≈ 2 semanas a 6 meses, según especie y condiciones ambientales.  Edad adulta: desde la tercera muda (post-ninfa). Longevidad del adulto: hasta 2 años sin alimentarse, en especies resistentes. Reproducción:- Garrapatas duras (Ixodidae): postura única de 5.000 a 8.000 huevos, luego la hembra muere.  Garrapatas blandas (Argasidae): 3 a 5 posturas durante la vida, cada una con 6.000 a 8.000 huevos. Observaciones: Las larvas y ninfas requieren al menos una toma de sangre para mudar.- Algunas especies completan su ciclo en un solo huésped, otras en dos o tres.
<span style="font-weight: bold;">Pececillo de Plata</span> (Lepisma saccharina)Insecto sin alas, de cuerpo alargado y brillante, común en baños, cocinas, bibliotecas y edificios antiguos. Se alimenta de almidón, papel, cartón, pegamento, azúcar, caspa y restos orgánicos, y se oculta en grietas, zócalos, libros y cajas almacenadas.  <span style="font-weight: bold;">Fases:</span> huevo, ninfa (varios estadios), adulto.- <span style="font-weight: bold;">Duración total</span>: ≈ 4 meses a 3 años, según temperatura y humedad. <span style="font-weight: bold;">Edad adulta:</span> desde los 4 a 12 meses, dependiendo del entorno. <span style="font-weight: bold;">Longevidad del adulto</span>: ≈ 2 a 8 años. <span style="font-weight: bold;">Reproducción:</span> La hembra pone hasta 100 huevos, preferiblemente en grietas y zonas oscuras. <span style="font-weight: bold;">Observaciones:</span>  Fototaxia negativa: huye de la luz.  Muda 8 o más veces durante su vida. Las escamas plateadas aparecen tras la tercera muda.- Presenta dos antenas largas y tres cercos posteriores.  Se desplaza con rapidez y puede trepar paredes.
Pececillo de Plata (Lepisma saccharina)Insecto sin alas, de cuerpo alargado y brillante, común en baños, cocinas, bibliotecas y edificios antiguos. Se alimenta de almidón, papel, cartón, pegamento, azúcar, caspa y restos orgánicos, y se oculta en grietas, zócalos, libros y cajas almacenadas.  Fases: huevo, ninfa (varios estadios), adulto.- Duración total: ≈ 4 meses a 3 años, según temperatura y humedad. Edad adulta: desde los 4 a 12 meses, dependiendo del entorno. Longevidad del adulto: ≈ 2 a 8 años. Reproducción: La hembra pone hasta 100 huevos, preferiblemente en grietas y zonas oscuras. Observaciones:  Fototaxia negativa: huye de la luz.  Muda 8 o más veces durante su vida. Las escamas plateadas aparecen tras la tercera muda.- Presenta dos antenas largas y tres cercos posteriores.  Se desplaza con rapidez y puede trepar paredes.
Roedores
<span style="font-weight: bold;">Ratón Doméstico: </span>(Mus musculus)Roedor comensal ampliamente distribuido, presente en viviendas, bodegas, cocinas industriales, almacenes y zonas rurales.  <span style="font-weight: bold;">Fases:</span> cría, juvenil, adulto.  <span style="font-weight: bold;">Duración total:</span> 9 a 12 meses de vida promedio. <span style="font-weight: bold;">Edad adulta:</span> 5 a 7 semanas de vida.  <span style="font-weight: bold;">Longevidad del adulto:</span> hasta 14 meses en condiciones naturales.  <span style="font-weight: bold;">Reproducción:</span>Gestación de 19 a 21 días. 6 a 8 camadas por año, con 4 a 9 crías por camada (promedio: 6,5). Actividad reproductiva todo el año en ambientes cálidos o interiores. - <span style="font-weight: bold;">Observaciones:</span>  Omnívoro, con preferencia por cereales y semillas. Excelente olfato y oído, pero visión deficiente.  Evita objetos nuevos (neofobia), lo que dificulta el control con trampas.- Buen trepador y saltador, puede ingresar por aberturas de 6 mm.
Ratón Doméstico: (Mus musculus)Roedor comensal ampliamente distribuido, presente en viviendas, bodegas, cocinas industriales, almacenes y zonas rurales.  Fases: cría, juvenil, adulto.  Duración total: 9 a 12 meses de vida promedio. Edad adulta: 5 a 7 semanas de vida.  Longevidad del adulto: hasta 14 meses en condiciones naturales.  Reproducción:Gestación de 19 a 21 días. 6 a 8 camadas por año, con 4 a 9 crías por camada (promedio: 6,5). Actividad reproductiva todo el año en ambientes cálidos o interiores. - Observaciones:  Omnívoro, con preferencia por cereales y semillas. Excelente olfato y oído, pero visión deficiente.  Evita objetos nuevos (neofobia), lo que dificulta el control con trampas.- Buen trepador y saltador, puede ingresar por aberturas de 6 mm.
<span style="font-weight: bold;">Rata Negra o Tejado: </span>(Rattus rattus)Roedor comensal de distribución mundial, frecuente en techos, entretechos, bodegas, graneros, cocinas industriales y zonas costeras. Prefiere zonas elevadas y cálidas, y evita espacios húmedos o subterráneos. <span style="font-weight: bold;">Fases:</span> cría, juvenil, adulto. <span style="font-weight: bold;">Duración total:</span> ≈ 1 a 2 años, según condiciones ambientales. <span style="font-weight: bold;">Edad adulta: </span>≈ 3 a 4 meses.- <span style="font-weight: bold;">Longevidad del adulto:</span> hasta 24 meses en condiciones óptimas.  <span style="font-weight: bold;">Reproducción:</span>Gestación de 20 a 22 días. 3 a 6 camadas por año, con 5 a 10 crías por camada.  Actividad reproductiva todo el año en ambientes cálidos. <span style="font-weight: bold;">Observaciones:</span>  Omnívora, con preferencia por frutas, semillas, granos y vegetales. Excelente trepadora, puede escalar paredes, cables y árboles. Evita objetos nuevos (neofobia), lo que dificulta el control.  Cola más larga que el cuerpo, orejas grandes, hocico afilado.  Se diferencia de Rattus norvegicus por su menor tamaño, agilidad y hábitos arborícolas.
Rata Negra o Tejado: (Rattus rattus)Roedor comensal de distribución mundial, frecuente en techos, entretechos, bodegas, graneros, cocinas industriales y zonas costeras. Prefiere zonas elevadas y cálidas, y evita espacios húmedos o subterráneos. Fases: cría, juvenil, adulto. Duración total: ≈ 1 a 2 años, según condiciones ambientales. Edad adulta: ≈ 3 a 4 meses.- Longevidad del adulto: hasta 24 meses en condiciones óptimas.  Reproducción:Gestación de 20 a 22 días. 3 a 6 camadas por año, con 5 a 10 crías por camada.  Actividad reproductiva todo el año en ambientes cálidos. Observaciones:  Omnívora, con preferencia por frutas, semillas, granos y vegetales. Excelente trepadora, puede escalar paredes, cables y árboles. Evita objetos nuevos (neofobia), lo que dificulta el control.  Cola más larga que el cuerpo, orejas grandes, hocico afilado.  Se diferencia de Rattus norvegicus por su menor tamaño, agilidad y hábitos arborícolas.
<span style="font-weight: bold;">Rata Parda o Alcantarilla: </span>(Rattus norvegicus)Roedor comensal de gran tamaño, frecuente en alcantarillas, sótanos, bodegas, cocinas industriales, mercados y zonas portuarias. Prefiere ambientes húmedos y subterráneos, y es menos ágil que Rattus rattus, pero más fuerte y agresiva. <span style="font-weight: bold;">Fases: </span>cría, juvenil, adulto.  <span style="font-weight: bold;">Duración total</span>: ≈ 1 a 2 años, según condiciones ambientales. <span style="font-weight: bold;">Edad adulta:</span> ≈ 3 a 4 meses. <span style="font-weight: bold;">Longevidad del adulto:</span> hasta 24 meses en condiciones óptimas. <span style="font-weight: bold;">Reproducción:</span>  Gestación de 21 a 23 días.- 5 a 7 camadas por año, con 6 a 12 crías por camada.  Actividad reproductiva todo el año en ambientes cálidos.  <span style="font-weight: bold;">Observaciones:</span> Omnívora, con preferencia por carnes, cereales y desperdicios.  Excelente nadadora, puede sobrevivir en sistemas de alcantarillado.  Evita objetos nuevos (neofobia), lo que dificulta el control.  Cola más corta que el cuerpo, orejas pequeñas, hocico romo.  Se diferencia de Rattus rattus por su mayor tamaño, hábitos terrestres y morfología robusta. 
Rata Parda o Alcantarilla: (Rattus norvegicus)Roedor comensal de gran tamaño, frecuente en alcantarillas, sótanos, bodegas, cocinas industriales, mercados y zonas portuarias. Prefiere ambientes húmedos y subterráneos, y es menos ágil que Rattus rattus, pero más fuerte y agresiva. Fases: cría, juvenil, adulto.  Duración total: ≈ 1 a 2 años, según condiciones ambientales. Edad adulta: ≈ 3 a 4 meses. Longevidad del adulto: hasta 24 meses en condiciones óptimas. Reproducción:  Gestación de 21 a 23 días.- 5 a 7 camadas por año, con 6 a 12 crías por camada.  Actividad reproductiva todo el año en ambientes cálidos.  Observaciones: Omnívora, con preferencia por carnes, cereales y desperdicios.  Excelente nadadora, puede sobrevivir en sistemas de alcantarillado.  Evita objetos nuevos (neofobia), lo que dificulta el control.  Cola más corta que el cuerpo, orejas pequeñas, hocico romo.  Se diferencia de Rattus rattus por su mayor tamaño, hábitos terrestres y morfología robusta. 
De­­­­­­ los gran­­os. Plagas Primarias
<span style="font-weight: 700;">Picudo del trigo:</span> (Sitophilus granarius) tiene un ciclo de vida de 5 a 8 semanas, alcanza la adultez en unos 30 días y puede vivir hasta 7 meses. Se desarrolla en granos almacenados, especialmente trigo, y no requiere agua ni luz para reproducirse. <span style="font-weight: bold;">Fases:</span> huevo, larva, pupa, adulto (metamorfosis completa). <span style="font-weight: bold;">Duración total: </span>35 a 60 días en condiciones cálidas- <span style="font-weight: bold;">Edad adulta</span>: ≈ 30 días- <span style="font-weight: bold;">Longevidad del adulto:</span> 4 a 7 meses, aunque puede vivir hasta 1 año en ambientes frescos. <span style="font-weight: bold;">Reproducción:</span>  La hembra perfora el grano y deposita 1 huevo por grano. Puede poner hasta 300 huevos durante su vida. Se desarrolla dentro del grano, lo que dificulta su detección.
Picudo del trigo: (Sitophilus granarius) tiene un ciclo de vida de 5 a 8 semanas, alcanza la adultez en unos 30 días y puede vivir hasta 7 meses. Se desarrolla en granos almacenados, especialmente trigo, y no requiere agua ni luz para reproducirse. Fases: huevo, larva, pupa, adulto (metamorfosis completa). Duración total: 35 a 60 días en condiciones cálidas- Edad adulta: ≈ 30 días- Longevidad del adulto: 4 a 7 meses, aunque puede vivir hasta 1 año en ambientes frescos. Reproducción:  La hembra perfora el grano y deposita 1 huevo por grano. Puede poner hasta 300 huevos durante su vida. Se desarrolla dentro del grano, lo que dificulta su detección.
<span style="font-weight: bold;">Picudo del arroz: </span> (Sitophilus oryzae) tiene un ciclo de vida de 26 a 35 días, alcanza la adultez en menos de un mes y puede vivir hasta 5 meses. Se desarrolla dentro de granos almacenados como arroz, trigo y maíz, y es capaz de volar, lo que facilita su dispersión. - Fases: huevo, larva, pupa,  adulto (metamorfosis completa) <span style="font-weight: bold;">Duración total:</span> ≈ 26 a 35 días en condiciones cálidas. <span style="font-weight: bold;">Edad adulta</span>: desde el día 26- <span style="font-weight: bold;">Longevidad del adulto:</span> hasta 5 meses, aunque puede vivir hasta 2 años en condiciones óptimas.  Capaz de volar, a diferencia del picudo del trigo.
Picudo del arroz:  (Sitophilus oryzae) tiene un ciclo de vida de 26 a 35 días, alcanza la adultez en menos de un mes y puede vivir hasta 5 meses. Se desarrolla dentro de granos almacenados como arroz, trigo y maíz, y es capaz de volar, lo que facilita su dispersión. - Fases: huevo, larva, pupa,  adulto (metamorfosis completa) Duración total: ≈ 26 a 35 días en condiciones cálidas. Edad adulta: desde el día 26- Longevidad del adulto: hasta 5 meses, aunque puede vivir hasta 2 años en condiciones óptimas.  Capaz de volar, a diferencia del picudo del trigo.
<span style="font-weight: bold;">Picudo del maíz: </span>(Sitophilus zeamais) tiene un ciclo de vida de 4 a 6 semanas, alcanza la adultez en menos de un mes y puede vivir hasta 8 meses. Se desarrolla dentro de granos almacenados y es capaz de volar, lo que facilita su dispersión desde el campo hasta los silos. - <span style="font-weight: bold;">Fases:</span> huevo, larva, pupa, adulto (metamorfosis completa) <span style="font-weight: bold;">Duración total: </span>28 a 42 días en condiciones cálidas. <span style="font-weight: bold;">Edad adulta:</span> desde el día 28- <span style="font-weight: bold;">Longevidad del adulto:</span> 7 a 8 meses, aunque puede alcanzar 1 año en ambientes frescos- <span style="font-weight: bold;">Reproducción:</span>  La hembra deposita 1 huevo por grano, sellando la perforación con una sustancia gelatinosa. Puede poner entre 300 y 400 huevos durante su vida.
Picudo del maíz: (Sitophilus zeamais) tiene un ciclo de vida de 4 a 6 semanas, alcanza la adultez en menos de un mes y puede vivir hasta 8 meses. Se desarrolla dentro de granos almacenados y es capaz de volar, lo que facilita su dispersión desde el campo hasta los silos. - Fases: huevo, larva, pupa, adulto (metamorfosis completa) Duración total: 28 a 42 días en condiciones cálidas. Edad adulta: desde el día 28- Longevidad del adulto: 7 a 8 meses, aunque puede alcanzar 1 año en ambientes frescos- Reproducción:  La hembra deposita 1 huevo por grano, sellando la perforación con una sustancia gelatinosa. Puede poner entre 300 y 400 huevos durante su vida.
<span style="font-weight: bold;">Barrenador Mayor de los Granos: </span>(Prostephanus truncatus) tiene un ciclo de vida de 35 a 50 días, alcanza la adultez en poco más de un mes y puede vivir hasta 3 meses. Se reproduce en granos almacenados como maíz y sorgo, especialmente en ambientes cálidos y húmedos. <span style="font-weight: bold;">Fases</span>: huevo,  larva, pupa, adulto (metamorfosis completa) <span style="font-weight: bold;">Duración total:</span> 35 a 50 días en condiciones óptimas (32 °C y 80 % HR) <span style="font-weight: bold;">Edad adulta:</span> desde el día 35<span style="font-weight: bold;">Longevidad del adulto: </span>hasta 3 meses. <span style="font-weight: bold;">Reproducción</span>:  La hembra pone 30 a 50 huevos durante su vida- Los huevos se depositan en granos o en el polvo generado por el daño.
Barrenador Mayor de los Granos: (Prostephanus truncatus) tiene un ciclo de vida de 35 a 50 días, alcanza la adultez en poco más de un mes y puede vivir hasta 3 meses. Se reproduce en granos almacenados como maíz y sorgo, especialmente en ambientes cálidos y húmedos. Fases: huevo,  larva, pupa, adulto (metamorfosis completa) Duración total: 35 a 50 días en condiciones óptimas (32 °C y 80 % HR) Edad adulta: desde el día 35Longevidad del adulto: hasta 3 meses. Reproducción:  La hembra pone 30 a 50 huevos durante su vida- Los huevos se depositan en granos o en el polvo generado por el daño.
De­­­­­­ los gran­­os. Plagas Primarias
<span style="font-weight: 700;">Polilla del grano:</span> (Plodia interpunctella) tiene un ciclo de vida de 25 a 40 días, alcanza la adultez en menos de un mes y puede vivir hasta 2 semanas como adulta. Se reproduce en productos almacenados como granos, harinas, frutos secos y cereales, y está presente desde zonas costeras hasta altitudes medias.  <span style="font-weight: bold;">Fases</span>: huevo, larva (5 estadios), pupa, adulto. <span style="font-weight: bold;">Duración total:</span> 25 a 40 días, dependiendo de temperatura y humedad <span style="font-weight: bold;">Edad adulta:</span> desde el día 25. <span style="font-weight: bold;">Longevidad del adulto: </span>≈ 10 a 14 días.  <span style="font-weight: bold;">Reproducción:</span> La hembra pone hasta 400 huevos sobre el alimento Las larvas son móviles y pueden desplazarse varios metros para pupar.
Polilla del grano: (Plodia interpunctella) tiene un ciclo de vida de 25 a 40 días, alcanza la adultez en menos de un mes y puede vivir hasta 2 semanas como adulta. Se reproduce en productos almacenados como granos, harinas, frutos secos y cereales, y está presente desde zonas costeras hasta altitudes medias.  Fases: huevo, larva (5 estadios), pupa, adulto. Duración total: 25 a 40 días, dependiendo de temperatura y humedad Edad adulta: desde el día 25. Longevidad del adulto: ≈ 10 a 14 días.  Reproducción: La hembra pone hasta 400 huevos sobre el alimento Las larvas son móviles y pueden desplazarse varios metros para pupar.
<span style="font-weight: bold;">Barrenador menor de los granos: </span>  (Rhyzopertha dominica) tiene un ciclo de vida de aproximadamente 25 a 35 días, alcanza la adultez en menos de un mes y puede vivir hasta 3 meses. Se reproduce en granos almacenados como trigo, maíz, arroz y sorgo, especialmente en ambientes cálidos y secos. <span style="font-weight: bold;">Fases:</span> huevo,  larva, pupa, adulto (metamorfosis completa) <span style="font-weight: bold;">Duración total:</span> ≈ 25 a 35 días en condiciones cálidas (≈ 34 °C). <span style="font-weight: bold;">Edad adulta:</span> desde el día 25- <span style="font-weight: bold;">Longevidad del adulto</span>: ≈ 2 a 3 meses- <span style="font-weight: bold;">Reproducción:</span>- La hembra deposita 300 a 500 huevos sobre o cerca del grano. Las larvas perforan el grano y pupan en su interior.
Barrenador menor de los granos:   (Rhyzopertha dominica) tiene un ciclo de vida de aproximadamente 25 a 35 días, alcanza la adultez en menos de un mes y puede vivir hasta 3 meses. Se reproduce en granos almacenados como trigo, maíz, arroz y sorgo, especialmente en ambientes cálidos y secos. Fases: huevo,  larva, pupa, adulto (metamorfosis completa) Duración total: ≈ 25 a 35 días en condiciones cálidas (≈ 34 °C). Edad adulta: desde el día 25- Longevidad del adulto: ≈ 2 a 3 meses- Reproducción:- La hembra deposita 300 a 500 huevos sobre o cerca del grano. Las larvas perforan el grano y pupan en su interior.
<span style="font-weight: bold;">Palomilla Mediterranea: </span>También conocida como Plodia interpunctella, es una polilla cosmopolita que infesta productos almacenados como frutos secos, harinas y cereales. Su ciclo de vida dura entre 25 y 40 días, y puede generar hasta 6 generaciones al año en condiciones cálidas. - <span style="font-weight: bold;">Fases:</span> huevo, larva (5 estadios), pupa, adulto  <span style="font-weight: bold;">Duración total: </span>25 a 40 días, dependiendo de temperatura y humedad  <span style="font-weight: bold;">Edad adulta:</span> desde el día 25. <span style="font-weight: bold;">Longevidad del adulto: </span>≈ 10 a 14 días- <span style="font-weight: bold;">Reproducción:</span> La hembra pone 50 a 300 huevos, aislados o en grupos. Puede generar hasta 6 generaciones anuales en ambientes cálidos.   
Palomilla Mediterranea: También conocida como Plodia interpunctella, es una polilla cosmopolita que infesta productos almacenados como frutos secos, harinas y cereales. Su ciclo de vida dura entre 25 y 40 días, y puede generar hasta 6 generaciones al año en condiciones cálidas. - Fases: huevo, larva (5 estadios), pupa, adulto  Duración total: 25 a 40 días, dependiendo de temperatura y humedad  Edad adulta: desde el día 25. Longevidad del adulto: ≈ 10 a 14 días- Reproducción: La hembra pone 50 a 300 huevos, aislados o en grupos. Puede generar hasta 6 generaciones anuales en ambientes cálidos.   
<span style="font-weight: bold;">Gorgojo del frijol: </span>(Acanthoscelides obtectus) tiene un ciclo de vida de 33 a 48 días, alcanza la adultez en poco más de un mes y puede vivir hasta 2 meses. Se reproduce en frijoles secos tanto en campo como en almacenamiento, y está presente desde zonas costeras hasta altitudes superiores a 2000 msnm. <span style="font-weight: bold;">Fases: </span>huevo, larva,  pupa, adulto (metamorfosis completa) <span style="font-weight: bold;">Duración total:</span> ≈ 33 a 48 días en condiciones cálidas. <span style="font-weight: bold;">Edad adulta:</span> desde el día 33.  <span style="font-weight: bold;">Longevidad del adulto: </span>≈ 30 a 60 días- <span style="font-weight: bold;">Reproducción:</span> La hembra deposita hasta 300 huevos sobre la superficie del frijol o en grietas. Las larvas penetran el grano y se desarrollan internamente.  
Gorgojo del frijol: (Acanthoscelides obtectus) tiene un ciclo de vida de 33 a 48 días, alcanza la adultez en poco más de un mes y puede vivir hasta 2 meses. Se reproduce en frijoles secos tanto en campo como en almacenamiento, y está presente desde zonas costeras hasta altitudes superiores a 2000 msnm. Fases: huevo, larva,  pupa, adulto (metamorfosis completa) Duración total: ≈ 33 a 48 días en condiciones cálidas. Edad adulta: desde el día 33.  Longevidad del adulto: ≈ 30 a 60 días- Reproducción: La hembra deposita hasta 300 huevos sobre la superficie del frijol o en grietas. Las larvas penetran el grano y se desarrollan internamente.  
De­­­­­­ los gran­­os. Plagas Secundarias
<span style="font-weight: 700;">Gorgojo Castaño de la harina:</span> (Tribolium castaneum) tiene un ciclo de vida de 25 a 35 días, con desarrollo acelerado en ambientes cálidos y húmedos. Infesta productos almacenados como harinas, cereales, granos partidos y frutos secos, y se encuentra desde zonas costeras hasta altitudes medias.<span style="font-weight: bold;">Fases:</span> huevo, larva (6–8 estadios), pupa, adulto<span style="font-weight: bold;">Duración total:</span> 25 a 35 días, según temperatura y humedad<span style="font-weight: bold;">Edad adulta</span>: desde el día 25<span style="font-weight: bold;">Longevidad del adulto</span>: ≈ 60 a 90 días<span style="font-weight: bold;">Reproducción:</span> La hembra pone hasta 500 huevos directamente sobre el alimento
Gorgojo Castaño de la harina: (Tribolium castaneum) tiene un ciclo de vida de 25 a 35 días, con desarrollo acelerado en ambientes cálidos y húmedos. Infesta productos almacenados como harinas, cereales, granos partidos y frutos secos, y se encuentra desde zonas costeras hasta altitudes medias.Fases: huevo, larva (6–8 estadios), pupa, adultoDuración total: 25 a 35 días, según temperatura y humedadEdad adulta: desde el día 25Longevidad del adulto: ≈ 60 a 90 díasReproducción: La hembra pone hasta 500 huevos directamente sobre el alimento
<span style="font-weight: bold;">Gorgojo Confuso de la harina: </span>(Tribolium confusum) tiene un ciclo de vida de 30 a 40 días, con desarrollo óptimo en ambientes cálidos y húmedos. Infesta productos almacenados como harinas, cereales, legumbres y frutos secos, y es común en bodegas, molinos y cocinas industriales. - <span style="font-weight: bold;">Fases:</span> huevo, larva (6–8 estadios), pupa, adulto. <span style="font-weight: bold;">Duración total:</span> 30 a 40 días, según temperatura y humedad.  <span style="font-weight: bold;">Edad adulta:</span> desde el día 30. <span style="font-weight: bold;">Longevidad del adulto</span>: ≈ 150 a 200 días. <span style="font-weight: bold;">Reproducción: </span>La hembra pone hasta 450 huevos sobre el alimento. <span style="font-weight: bold;">Observaciones:</span> No vuela; se diferencia de T. castaneum por sus antenas con ensanchamiento gradual.
Gorgojo Confuso de la harina: (Tribolium confusum) tiene un ciclo de vida de 30 a 40 días, con desarrollo óptimo en ambientes cálidos y húmedos. Infesta productos almacenados como harinas, cereales, legumbres y frutos secos, y es común en bodegas, molinos y cocinas industriales. - Fases: huevo, larva (6–8 estadios), pupa, adulto. Duración total: 30 a 40 días, según temperatura y humedad.  Edad adulta: desde el día 30. Longevidad del adulto: ≈ 150 a 200 días. Reproducción: La hembra pone hasta 450 huevos sobre el alimento. Observaciones: No vuela; se diferencia de T. castaneum por sus antenas con ensanchamiento gradual.
<span style="font-weight: bold;">Gorgojo Forastero de los granos: </span>(Ahasverus advena) No se alimenta directamente del grano, sino de mohos y materia orgánica en descomposición, por lo que su presencia indica problemas de higiene o humedad en los almacenes. <span style="font-weight: bold;">Fases:</span> huevo, larva (varios estadios), pupa, adulto- <span style="font-weight: bold;">Duración total:</span> ≈ 30 días en condiciones favorables (25–30 °C, HR > 65 %). <span style="font-weight: bold;">Edad adulta:</span> desde el día 30- <span style="font-weight: bold;">Longevidad del adulto</span>: hembras ≈ 208 días; machos ≈ 159 días; no apareados hasta 275–301 días. <span style="font-weight: bold;">Reproducción:</span> la hembra pone de 1 a 4 huevos diarios (máx. 8–12), con picos entre los días 15 y 105 .   
Gorgojo Forastero de los granos: (Ahasverus advena) No se alimenta directamente del grano, sino de mohos y materia orgánica en descomposición, por lo que su presencia indica problemas de higiene o humedad en los almacenes. Fases: huevo, larva (varios estadios), pupa, adulto- Duración total: ≈ 30 días en condiciones favorables (25–30 °C, HR > 65 %). Edad adulta: desde el día 30- Longevidad del adulto: hembras ≈ 208 días; machos ≈ 159 días; no apareados hasta 275–301 días. Reproducción: la hembra pone de 1 a 4 huevos diarios (máx. 8–12), con picos entre los días 15 y 105 .   
<span style="font-weight: bold;">Carcoma dentada: </span>(Oryzaephilus surinamensis) tiene un ciclo de vida de 25 a 30 días, con desarrollo óptimo entre 30 °C y 35 °C. Es una plaga secundaria que infesta productos secos envasados como harinas, cereales, pastas, frutos secos y piensos, especialmente cuando hay granos dañados o humedad.  <span style="font-weight: bold;">Fases:</span> huevo, larva (varios estadios), pupa, adulto. <span style="font-weight: bold;">Duración total: </span>25 a 30 días, según temperatura y humedad. <span style="font-weight: bold;">Edad adulta:</span> desde el día 25- <span style="font-weight: bold;">Longevidad del adulto:</span> ≈ 6 a 10 meses- <span style="font-weight: bold;">Reproducción:</span> la hembra pone hasta 300 huevos sobre o entre los productos infestados 
Carcoma dentada: (Oryzaephilus surinamensis) tiene un ciclo de vida de 25 a 30 días, con desarrollo óptimo entre 30 °C y 35 °C. Es una plaga secundaria que infesta productos secos envasados como harinas, cereales, pastas, frutos secos y piensos, especialmente cuando hay granos dañados o humedad.  Fases: huevo, larva (varios estadios), pupa, adulto. Duración total: 25 a 30 días, según temperatura y humedad. Edad adulta: desde el día 25- Longevidad del adulto: ≈ 6 a 10 meses- Reproducción: la hembra pone hasta 300 huevos sobre o entre los productos infestados 
De­­­­­­ los gran­­os. Plagas Secundarias
<span style="font-weight: 700;">Carcoma (grande) de graneros </span>(Tenebroides mauritanicus). Especialmente en silos, molinos y bodegas con condiciones cálidas y húmedas. Su presencia suele indicar infestaciones avanzadas o problemas estructurales. <span style="font-weight: bold;">Fases:</span> huevo, larva (varios estadios), pupa, adulto- <span style="font-weight: bold;">Duración total</span>: 40 a 60 días por generación; hasta 2 generaciones por año. <span style="font-weight: bold;">Edad adulta:</span> desde el día 40. <span style="font-weight: bold;">Longevidad del adulto: </span>hasta 2 años. <span style="font-weight: bold;">Reproducción:</span> la hembra pone entre 500 y 1200 huevos en grupos, durante varios meses.
Carcoma (grande) de graneros (Tenebroides mauritanicus). Especialmente en silos, molinos y bodegas con condiciones cálidas y húmedas. Su presencia suele indicar infestaciones avanzadas o problemas estructurales. Fases: huevo, larva (varios estadios), pupa, adulto- Duración total: 40 a 60 días por generación; hasta 2 generaciones por año. Edad adulta: desde el día 40. Longevidad del adulto: hasta 2 años. Reproducción: la hembra pone entre 500 y 1200 huevos en grupos, durante varios meses.
<span style="font-weight: bold;">Gorgojo Confuso de la harina: </span>(Tribolium confusum) tiene un ciclo de vida de 30 a 40 días, con desarrollo óptimo en ambientes cálidos y húmedos. Infesta productos almacenados como harinas, cereales, legumbres y frutos secos, y es común en bodegas, molinos y cocinas industriales. - <span style="font-weight: bold;">Fases:</span> huevo, larva (6–8 estadios), pupa, adulto. <span style="font-weight: bold;">Duración total:</span> 30 a 40 días, según temperatura y humedad.  <span style="font-weight: bold;">Edad adulta:</span> desde el día 30. <span style="font-weight: bold;">Longevidad del adulto</span>: ≈ 150 a 200 días. <span style="font-weight: bold;">Reproducción: </span>La hembra pone hasta 450 huevos sobre el alimento. <span style="font-weight: bold;">Observaciones:</span> No vuela; se diferencia de T. castaneum por sus antenas con ensanchamiento gradual.
Gorgojo Confuso de la harina: (Tribolium confusum) tiene un ciclo de vida de 30 a 40 días, con desarrollo óptimo en ambientes cálidos y húmedos. Infesta productos almacenados como harinas, cereales, legumbres y frutos secos, y es común en bodegas, molinos y cocinas industriales. - Fases: huevo, larva (6–8 estadios), pupa, adulto. Duración total: 30 a 40 días, según temperatura y humedad.  Edad adulta: desde el día 30. Longevidad del adulto: ≈ 150 a 200 días. Reproducción: La hembra pone hasta 450 huevos sobre el alimento. Observaciones: No vuela; se diferencia de T. castaneum por sus antenas con ensanchamiento gradual.
<span style="font-weight: bold;">Polilla de la harina de la india: </span>(Plodia interpunctella) es una de las plagas más comunes y dañinas en productos almacenados. Su ciclo de vida es rápido y su capacidad de dispersión y contaminación la hace crítica en ambientes de almacenamiento de alimentos. <span style="font-weight: bold;">Fases: </span>huevo, larva (5 estadios), pupa, adulto. <span style="font-weight: bold;">Duración total:</span> 25 a 40 días, según temperatura y humedad. <span style="font-weight: bold;">Edad adulta:</span> desde el día 25. <span style="font-weight: bold;">Longevidad del adulto:</span> ≈ 10 a 14 días- <span style="font-weight: bold;">Reproducción:</span> la hembra pone hasta 400 huevos sobre el alimento. <span style="font-weight: bold;">Observaciones:</span> las larvas son móviles y pueden desplazarse varios metros para pupar. Infesta harinas, cereales, frutos secos, semillas, alimentos para mascotas y especias. Las larvas dejan hilos de seda y excrementos, contaminando los productos. 
Polilla de la harina de la india: (Plodia interpunctella) es una de las plagas más comunes y dañinas en productos almacenados. Su ciclo de vida es rápido y su capacidad de dispersión y contaminación la hace crítica en ambientes de almacenamiento de alimentos. Fases: huevo, larva (5 estadios), pupa, adulto. Duración total: 25 a 40 días, según temperatura y humedad. Edad adulta: desde el día 25. Longevidad del adulto: ≈ 10 a 14 días- Reproducción: la hembra pone hasta 400 huevos sobre el alimento. Observaciones: las larvas son móviles y pueden desplazarse varios metros para pupar. Infesta harinas, cereales, frutos secos, semillas, alimentos para mascotas y especias. Las larvas dejan hilos de seda y excrementos, contaminando los productos. 
<span style="font-weight: bold;">Polilla del Tabaco: </span>(Ephestia elutella) es una plaga secundaria de productos almacenados, especialmente tabaco, cacao, frutos secos, cereales y harinas. Su ciclo de vida varía según la temperatura, y puede desarrollarse en ambientes cálidos y mal ventilados. <span style="font-weight: bold;">Fases:</span> huevo, larva (4–5 estadios), pupa, adulto. <span style="font-weight: bold;">Duración total: </span>30 a 60 días, según temperatura y humedad. <span style="font-weight: bold;">Edad adulta: </span>desde el día 30. <span style="font-weight: bold;">Longevidad del adulto:</span> ≈ 10 a 14 días- <span style="font-weight: bold;">Reproducción:</span> la hembra pone hasta 200 huevos sobre el alimento. <span style="font-weight: bold;">Observaciones:</span> las larvas tejen túneles de seda en el alimento, contaminándolo con excrementos y restos. 
Polilla del Tabaco: (Ephestia elutella) es una plaga secundaria de productos almacenados, especialmente tabaco, cacao, frutos secos, cereales y harinas. Su ciclo de vida varía según la temperatura, y puede desarrollarse en ambientes cálidos y mal ventilados. Fases: huevo, larva (4–5 estadios), pupa, adulto. Duración total: 30 a 60 días, según temperatura y humedad. Edad adulta: desde el día 30. Longevidad del adulto: ≈ 10 a 14 días- Reproducción: la hembra pone hasta 200 huevos sobre el alimento. Observaciones: las larvas tejen túneles de seda en el alimento, contaminándolo con excrementos y restos. 
De­­­­­­ los gran­­os. Plagas Secundarias
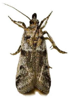
<span style="font-weight: 700;">Gusano de la Naranja:  </span>(Amyelois transitella).  Es una plaga lepidóptera que afecta frutos como naranja, mandarina, pistacho, almendra y nuez. Su presencia puede comprometer la calidad comercial de los productos, especialmente en postcosecha.<span style="font-weight: bold;"> Fases:</span> huevo, larva (5–7 estadios), pupa, adulto- <span style="font-weight: bold;">Duración total:</span> 55 a 84 días, según temperatura y humedad. <span style="font-weight: bold;">Edad adulta</span>: desde el día 55- <span style="font-weight: bold;">Longevidad del adulto</span>: ≈ 11 a 12 días.  <span style="font-weight: bold;">Reproducción:</span> la hembra pone hasta 200 huevos sobre frutos o residuos vegetales.  <span style="font-weight: bold;">Observaciones:</span> las larvas ingresan al fruto, causando daños internos y externos. Los adultos son palomillas grisáceas con alas anteriores cruzadas por bandas oscuras en zigzag.
Gusano de la Naranja:  (Amyelois transitella).  Es una plaga lepidóptera que afecta frutos como naranja, mandarina, pistacho, almendra y nuez. Su presencia puede comprometer la calidad comercial de los productos, especialmente en postcosecha. Fases: huevo, larva (5–7 estadios), pupa, adulto- Duración total: 55 a 84 días, según temperatura y humedad. Edad adulta: desde el día 55- Longevidad del adulto: ≈ 11 a 12 días.  Reproducción: la hembra pone hasta 200 huevos sobre frutos o residuos vegetales.  Observaciones: las larvas ingresan al fruto, causando daños internos y externos. Los adultos son palomillas grisáceas con alas anteriores cruzadas por bandas oscuras en zigzag.
<span style="font-weight: bold;">Gorgojo Khapra: </span>es una de las plagas más destructivas de productos almacenados a nivel mundial. Es considerada una plaga cuarentenaria de alto riesgo por su resistencia, difícil erradicación y fuerte impacto en la seguridad alimentaria y el comercio internacional. <span style="font-weight: bold;">Fases:</span> huevo, larva (hasta 9 estadios), pupa, adulto. <span style="font-weight: bold;">Duración total:</span> 26 a 220 días, dependiendo de temperatura y densidad larval. <span style="font-weight: bold;">Edad adulta:</span> desde el día 26 (en condiciones óptimas)- <span style="font-weight: bold;">Longevidad del adulto:</span> 5 a 10 días (machos), 7 a 10 días (hembras)- <span style="font-weight: bold;">Reproducción:</span> la hembra pone de 50 a 90 huevos sobre productos almacenados- <span style="font-weight: bold;">Observaciones:</span> larvas muy resistentes, capaces de entrar en diapausa por años.
Gorgojo Khapra: es una de las plagas más destructivas de productos almacenados a nivel mundial. Es considerada una plaga cuarentenaria de alto riesgo por su resistencia, difícil erradicación y fuerte impacto en la seguridad alimentaria y el comercio internacional. Fases: huevo, larva (hasta 9 estadios), pupa, adulto. Duración total: 26 a 220 días, dependiendo de temperatura y densidad larval. Edad adulta: desde el día 26 (en condiciones óptimas)- Longevidad del adulto: 5 a 10 días (machos), 7 a 10 días (hembras)- Reproducción: la hembra pone de 50 a 90 huevos sobre productos almacenados- Observaciones: larvas muy resistentes, capaces de entrar en diapausa por años.
<span style="font-weight: bold;">Escarabajo de la farmacia: </span>(Stegobium paniceum) es una plaga cosmopolita que infesta productos almacenados como medicamentos, hierbas secas, especias, harinas, cereales, libros y objetos de museo. Es también conocido como carcoma del pan o de las galletas. Infestan alimentos secos, medicamentos, especias, libros, pieles y objetos orgánicos. <span style="font-weight: bold;">Fases:</span> huevo, larva (4–6 estadios), pupa, adulto. <span style="font-weight: bold;">Duración total: 60 a 210 días, según</span> temperatura y humedad. <span style="font-weight: bold;">Edad adulta:</span> desde el día 60.  <span style="font-weight: bold;">Longevidad del adulto</span>: ≈ 2 a 4 semanas- <span style="font-weight: bold;">Reproducción:</span> la hembra pone hasta 100 huevos sobre o cerca del alimento. 
Escarabajo de la farmacia: (Stegobium paniceum) es una plaga cosmopolita que infesta productos almacenados como medicamentos, hierbas secas, especias, harinas, cereales, libros y objetos de museo. Es también conocido como carcoma del pan o de las galletas. Infestan alimentos secos, medicamentos, especias, libros, pieles y objetos orgánicos. Fases: huevo, larva (4–6 estadios), pupa, adulto. Duración total: 60 a 210 días, según temperatura y humedad. Edad adulta: desde el día 60.  Longevidad del adulto: ≈ 2 a 4 semanas- Reproducción: la hembra pone hasta 100 huevos sobre o cerca del alimento. 
<span style="font-weight: bold;">Escarabajo del cigarro: </span>(Lasioderma serricorne) es una plaga cosmopolita que infesta tabaco y una amplia gama de productos almacenados. Es especialmente dañina en la industria del tabaco, pero también afecta alimentos secos, especias, medicamentos, cereales, frutos secos, lana, papel, cartón y objetos orgánicos. <span style="font-weight: bold;">Fases: </span>huevo, larva (4–6 estadios), pupa, adulto- <span style="font-weight: bold;">Duración total</span>: 26 a 120 días, según temperatura y humedad. <span style="font-weight: bold;">Edad adulta:</span> desde el día 26- <span style="font-weight: bold;">Longevidad del adulto</span>: 2 a 6 semanas- <span style="font-weight: bold;">Reproducción</span>: la hembra pone hasta 100 huevos sobre o cerca del alimento.  
Escarabajo del cigarro: (Lasioderma serricorne) es una plaga cosmopolita que infesta tabaco y una amplia gama de productos almacenados. Es especialmente dañina en la industria del tabaco, pero también afecta alimentos secos, especias, medicamentos, cereales, frutos secos, lana, papel, cartón y objetos orgánicos. Fases: huevo, larva (4–6 estadios), pupa, adulto- Duración total: 26 a 120 días, según temperatura y humedad. Edad adulta: desde el día 26- Longevidad del adulto: 2 a 6 semanas- Reproducción: la hembra pone hasta 100 huevos sobre o cerca del alimento.